El canal internacional
de noticias en español
más visto en el mundo
Actualidad

"La isla de Barbuda no es apta para la vida": El huracán Irma siembra la destrucción en el Caribe

Publicado:
El primer ministro de Antigua y Barbuda, Gaston Browne, valora la catastrófica destrucción que sufrió la isla caribeña tras el paso del huracán Irma
"La isla de Barbuda no es apta para la vida": El huracán Irma siembra la destrucción en el Caribe

El primer ministro de Antigua y Barbuda, Gaston Browne, ha valorado este miércoles la devastación que reina en la isla de Barbuda tras el paso del huracán Irma.

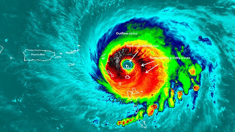
El huracán Irma, el mayor jamás formado en el Atlántico, ha sembrado la "destrucción total" en la isla caribeña y ha causado daños estimados en unos 150 millones de dólares, dijo Browne al servicio Antigua Broadcasting Service, recoge la agencia TASS. Si se tiene en cuenta que el PIB anual de Barbuda es de 1.450 millones de dólares, el valor de las destrucciones asciende al 10% del PIB de la isla, apunta TASS.

"Hay mucha destrucción, más del 90 % [de todas las estructuras]. La isla de Barbuda casi no es apta para la vida. La recuperación llevará años", ha subrayado el primer ministro, que confirmó la muerte de una persona.

Asimismo, el jefe del Gobierno ha explicado que la ausencia de comunicación con la isla durante el paso del huracán se debió a la caída de la torre televisiva. Además, ha confirmado que el paso del huracán se ha cobrado la vida de una persona en Barbuda.

Anteriormente, a medida que aumentaba la inquietud en torno a la situación de la isla, en las redes sociales empezó a circular un impactante video en el que se aprecia el presunto efecto devastador de Irma en Barbuda. Sin embargo, después se supo que la grabación había sido publicada un día antes de que el ciclón llegara a la isla y que las imágenes se correspondían, en realidad, con el tornado Dolores, que azotó Uruguay en abril de 2016.

Barbuda es una isla independiente que forma parte de Antigua y Barbuda. Tiene una superficie de 160,6 kilómetros cuadrados y cuenta con una población de 1.638 personas, según el censo de 2011.

Irma es el más potente de todos los huracanes jamás observados en el océano Atlántico fuera del Caribe y el golfo de México, según el Centro Nacional de Huracanes (NHC) de EE.UU. La tormenta ha alcanzado este martes la categoría 5 para huracanes, con vientos de hasta 280 km/h.

Compartir:
RT en Español en vivo - TELEVISIÓN GRATIS 24/7